Why Ant Infestations Keep Returning Without Professional Treatment

To prevent ant infestations from returning, local contractors use professional treatments that eliminate hidden nests and prevent future re-infestations.

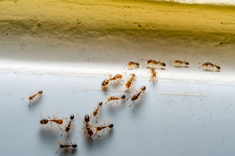
Understanding why ant infestations keep returning without professional treatment can help property owners address the root causes of these persistent pests. Ants are highly resilient and adaptable, often finding new ways into homes and buildings even after initial attempts to eliminate them. Common reasons include hidden colonies nesting deep within walls, foundations, or nearby landscaping, which makes it challenging for DIY methods to reach and eradicate the entire colony. Exploring this topic can reveal practical insights into how these insects operate and why professional ant control services are often necessary to achieve lasting results.

Property owners in the area may find that repeated ant problems are linked to overlooked entry points, ongoing food sources, or environmental factors that support their colonies. Local service providers specializing in ant infestation control understand these common issues and can offer tailored solutions that target the entire colony, not just the visible ants. Continuing to learn about why these pests keep returning encourages informed decisions and can lead to more effective, long-term pest management strategies-making it easier to keep ant populations at bay with the help of experienced local contractors.

Get Quotes for Ant Infestation Control

  • Ant Nest Removal - when ants establish hidden colonies indoors or outdoors, local contractors can locate and eliminate the nests to prevent ongoing infestations.
  • Barrier Treatments - if ants keep returning despite basic measures, local service providers use targeted barriers to block entry points and disrupt trails.
  • Sanitation and Property Inspection - persistent ant issues often stem from food sources or structural vulnerabilities that local pros identify and address effectively.
  • Crack and Crevice Treatments - when ants find entry through small gaps, local contractors apply precise treatments to seal and treat these access points.
  • Ongoing Monitoring and Prevention - repeated ant problems may require regular inspections and preventative measures from local pros to break the cycle of re-infestation.
Why Ant Infestations Keep Returning Without Professional Treatment
Why Ant Infestations Keep Returning Without Professional Treatment
Why Ant Infestations Keep Returning Without Professional Treatment

When people search for why ant infestations keep returning without professional treatment, they are often trying to understand the persistent nature of these pests and why DIY efforts may not be enough. Ant problems tend to recur because of underlying issues that are not addressed by simple removal methods. Homeowners may notice ants reappearing even after cleaning or using over-the-counter products, leading them to seek solutions that go beyond surface treatments. This search often relates to ongoing frustrations with recurring colonies or nests that seem to re-establish themselves despite repeated attempts to eliminate them.

This topic is closely connected to various problems and plans related to home maintenance and pest control strategies. Many property owners are concerned with protecting their living spaces from damage or contamination caused by ants, especially when infestations interfere with daily routines or food safety. The focus often shifts toward understanding why ant control efforts fail over time, prompting interest in professional services that can provide comprehensive solutions. Homeowners may also be exploring long-term prevention plans, such as sealing entry points or removing attractants, to stop the cycle of recurring infestations.

The types of properties most commonly affected by persistent ant problems include both residential and commercial buildings. Single-family homes, especially those with gardens, patios, or cracks in the foundation, are frequent targets for ant colonies. Multi-unit apartment complexes and condominiums can also experience ongoing issues due to shared walls and communal spaces that facilitate ant movement. Commercial properties like restaurants, grocery stores, or food processing facilities are particularly vulnerable, as ants can quickly become a serious nuisance or contamination risk. Understanding the property type helps in selecting the appropriate approach and highlights the importance of professional intervention to break the cycle of recurring ant infestations.

Local service providers specializing in ant infestation control play a crucial role in addressing why ant infestations keep returning without professional treatment. These professionals are equipped to identify the root causes of persistent problems, such as hidden nests or continuous food sources, that homeowners might overlook. They can implement targeted treatments and preventative measures tailored to the specific property type and infestation severity. Connecting with experienced local contractors ensures that efforts to eliminate ants are thorough and lasting, reducing the likelihood of future re-infestations and helping property owners regain control over their spaces.

Pest Inspection Services - These projects involve thorough inspections to identify hidden ant colonies and entry points, which are essential for addressing why ant infestations keep returning without professional treatment.

Wildlife Control Projects - Managing animals that create access points for ants can prevent recurring infestations, making these skills relevant for local contractors handling ant problems.

Home Sealing and Weatherproofing - Sealing cracks and gaps helps eliminate pathways ants use to re-enter, aligning with the planning and tools used in ant infestation control.

Moisture Management Services - Addressing excess moisture in homes reduces attractive conditions for ants, a common factor in why ant infestations keep returning without professional intervention.

Structural Repair Projects - Repairing damaged foundation or siding prevents ant entry, requiring similar planning and tools as those used in pest control efforts.

Soil and Landscape Treatments - Applying treatments to garden beds and soil areas can disrupt ant colonies, paralleling the techniques used by local service providers to prevent reinfestation.

Why Ant Infestations Keep Returning Without Professional Treatment

When evaluating service providers for ant infestation control, it is important to consider their experience with similar projects. Homeowners should seek out local contractors who have a proven track record in managing ant problems, particularly those involving persistent reinfestations. An experienced professional will understand the common reasons why ant infestations keep returning without professional treatment, such as hidden colonies or overlooked entry points, and will be better equipped to implement effective, long-lasting solutions. Verifying a contractor’s history with comparable cases can provide confidence that they understand the complexities involved and can tailor their approach accordingly.

Clear, written expectations are essential when comparing local pros for ant control services. Homeowners should look for providers who are upfront about the scope of work, the methods they plan to use, and what results to expect. This transparency helps ensure everyone is aligned on the treatment process and reduces the chance of misunderstandings that could lead to reinfestation. Well-documented plans also serve as a reference point for evaluating whether a service provider’s approach is comprehensive enough to address the root causes of the recurring ant issues, rather than just treating surface symptoms.

Reputable references and good communication are key factors when selecting local contractors for ant infestation control. Homeowners can benefit from reviews or testimonials that highlight a contractor’s reliability, professionalism, and success in handling similar ant problems. Additionally, a service provider who communicates clearly and promptly can help homeowners understand why ant infestations keep returning without professional treatment and what steps are necessary to prevent future issues. Open dialogue ensures that homeowners feel informed and confident in the chosen contractor’s ability to deliver effective, lasting ant control solutions.

Get a Quote for Ant Infestation Control

Property owners often search for why ant infestations keep returning without professional treatment when they are planning practical projects around their homes and businesses. Local pros provide Ant Infestation Control services for everyday jobs and straightforward project options.

Why Ant Infestations Keep Returning Without Professional Treatment
Why Ant Infestations Keep Returning Without Professional Treatment

Understanding why ant infestations keep returning without professional treatment often starts with common household conditions. Ants are highly persistent and can find their way back if food sources, water, or entry points are not properly managed. Small cracks in walls, gaps around windows, or unsealed doors can serve as easy access points for these insects. Additionally, leaving crumbs, sugary spills, or open containers accessible provides tempting food sources that attract ants repeatedly. Property owners in the area may find themselves facing ongoing challenges because these simple oversights create ideal conditions for ants to establish and re-establish colonies.

Another factor contributing to recurring ant problems is the complexity of their colonies. Ant nests can extend deep underground or inside wall voids, making it difficult to completely eradicate them without professional help. Over-the-counter solutions may only target visible ants and fail to reach the hidden parts of their colonies. Without a thorough inspection and targeted treatment from experienced service providers, ants can survive initial efforts and return. Local contractors who specialize in ant control can identify the root causes of infestations and implement strategies to prevent their return, offering property owners a more effective solution than DIY methods alone.

Get a Quote for Ant Infestation Control

Why do ant infestations keep returning even after treatment? Ant infestations often return because the colony's nest and food sources remain hidden, making it difficult for DIY efforts to fully eliminate them. Local contractors specializing in ant control can identify and treat the source effectively to prevent recurrence.

How do ants manage to come back after initial removal? Ants can find ways back into a property through tiny cracks and gaps, especially if their colony remains nearby. Professional ant control services target these entry points and nests to reduce the chances of them returning.

What causes ant infestations to persist without professional help? Persistent ant infestations are usually caused by untreated colonies or overlooked nesting sites. Local service providers have the expertise to locate and eliminate these hidden colonies for long-term control.

Can ignoring the root of the problem lead to recurring ant issues? Yes, ignoring the colony or nesting sites allows ants to continually re-infest. Local pros can perform thorough inspections to find and treat the root causes, helping to break the cycle of returning ants.

Why is it difficult to keep ants from returning without professional intervention? Without professional treatment, ants often find new entry points and establish new colonies. Experienced service providers use targeted methods to address these challenges and reduce the likelihood of future infestations.

Identify hidden entry points - inspecting for small cracks and gaps can help prevent ants from gaining access, and local contractors can seal these openings effectively.

Remove attractants and food sources - keeping surfaces clean and storing food properly reduces appeal, while professionals can advise on best practices for sanitation.

Eliminate existing nests and colonies - targeted treatments by local service providers can remove ant colonies deep within walls or underground that cause recurring infestations.

Implement ongoing exclusion strategies - barriers and physical defenses installed by local pros can help prevent future invasions and break the cycle of returning ant problems.

Why Ant Infestations Keep Returning Without Professional Treatment

If you are thinking about why ant infestations keep returning without professional treatment for a property, this guide is meant to help you understand this topic, the typical project types, and how different options might fit your plans.

When you are ready, you can use the quote form on this page to share a few details about your project. From there, local pros can review the basics and follow up with options that match what you have in mind.

Get a Quote for Ant Infestation Control

Ant Infestation Control Quotes

Our Trusted Partners
Cantu Pest Control
Orkin
Hawx Pest Control
Mosquito Shield