Local Service Overview

Get Ants Extermination Service in Wylie, TX

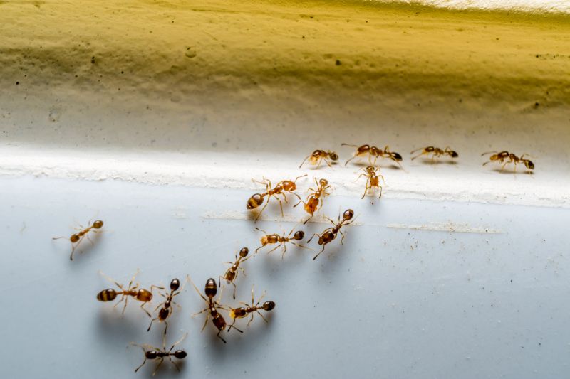
Ants extermination services for Wylie, TX, property owners address ant infestations, including nests and trails, in residential and commercial spaces.

Wylie, TX

Ants extermination services provide property owners in Wylie, TX with effective solutions to manage and eliminate ant infestations. Addressing these pests helps maintain a comfortable living or working environment by preventing the nuisance and potential damage caused by ant colonies. Professionals use targeted treatments to reduce ant populations, promoting safety and peace of mind for residents and business owners alike.

Engaging with local extermination experts can also enhance the functionality and curb appeal of a property. Removing ants helps protect structures from potential damage to wiring, insulation, and other building components, leading to increased durability. Additionally, a pest-free property requires less ongoing maintenance and enhances overall aesthetic appeal, contributing to a more inviting and well-maintained space.

Get Ants Extermination Service Quotes

  • Ants Extermination - Services are needed when ants invade residential or commercial properties in Wylie, TX, and surrounding areas.
  • Ants Extermination - Homeowners experiencing persistent ant colonies indoors may seek professional pest control solutions.
  • Ants Extermination - Businesses dealing with ant infestations that threaten hygiene and customer experience can contact local providers.
  • Ants Extermination - When outdoor ant mounds become a nuisance in yards or gardens near Dallas, TX, nearby pest control experts can assist.
  • Ants Extermination - During seasonal ant activity, property owners may require targeted treatments to prevent further invasions.

Get Ants Extermination Service Quotes

Ants Extermination Service
Ants Extermination Service
Ants Extermination Service

Ants extermination services involve identifying and eliminating ant infestations within residential, commercial, or industrial properties. Professionals typically conduct thorough inspections to locate ant colonies and determine the species involved. Treatment methods may include targeted applications of insecticides, baiting systems, and exclusion techniques to prevent future entry. The goal is to reduce or eradicate ant populations, helping to restore comfort and hygiene in affected spaces.

These services address common problems such as the nuisance caused by ants, property contamination, and potential damage to structures or stored goods. Ants can invade kitchens, pantries, and other areas where food is present, posing health concerns and creating unsanitary conditions. In addition, some ant species, like carpenter ants, can compromise the integrity of wooden structures, leading to costly repairs if not managed promptly.

Properties that typically utilize ants extermination services include residential homes, apartment complexes, restaurants, grocery stores, and warehouses. Any property where food is stored or prepared is particularly vulnerable to ant invasions. Commercial properties often seek professional assistance to meet health and safety standards, while homeowners look to eliminate persistent ant problems that disrupt daily routines.

Professional ant extermination services are designed to provide effective solutions tailored to each property’s specific needs. Service providers may employ a combination of inspection, targeted treatments, and preventative measures to control ant populations. Contacting local pest control specialists can help property owners and managers address ant issues efficiently and maintain a pest-free environment.

The overview below groups typical Ants Extermination Service projects into broad ranges so you can see how smaller, mid-sized, and larger jobs often compare in Wylie, TX.

In many markets, a large share of routine jobs stays in the lower and middle ranges, while only a smaller percentage of projects moves into the highest bands when the work is more complex or site conditions are harder than average.

Initial Inspection and Treatment - The cost for an initial ant inspection and treatment typically ranges from $100 to $300. This includes identifying the ant species and applying targeted treatment methods. Prices may vary based on the size of the property and infestation severity.

Localized Treatment per Area - Treating specific areas such as kitchens or outdoor nests usually costs between $50 and $150 per zone. The cost depends on the extent of the infestation and the number of areas needing treatment.

Full Property Extermination - Complete extermination of ants across a residential property can range from $200 to $600. This encompasses multiple treatments and follow-up visits to ensure the infestation is eliminated.

Ongoing Monitoring and Prevention - Ongoing service plans for ant prevention and monitoring generally cost between $150 and $400 annually. These plans often include regular inspections and preventative treatments by local service providers.

Actual totals will depend on details like access to the work area, the scope of the project, and the materials selected, so use these as general starting points rather than exact figures.

Get an Ants Extermination Service Quote

Ants Extermination - Local pest control providers offer specialized services to eliminate ant infestations in residential and commercial properties. They utilize targeted methods to address common ant species found in Wylie, TX and nearby areas.

Ants Prevention - Service providers can implement preventative measures to reduce the likelihood of future ant problems through exclusion techniques and habitat modification. This helps maintain pest-free environments over time.

Ants Inspection - Professionals conduct thorough inspections to identify ant activity, nesting sites, and entry points, enabling targeted treatment plans tailored to specific infestations.

Ants Treatment - Local pros apply effective treatment solutions, including baiting and residual insecticides, to control and eradicate ant colonies within affected areas.

Ants Barrier Services - Some providers offer barrier treatments around structures to create a protective zone that deters ants from entering indoor spaces. This service aims to provide ongoing protection.

Ants Removal Consultation - Experts offer consultations to assess ant problems and recommend appropriate control strategies, helping property owners understand the best options for their situation.

Ants Extermination Service

When evaluating local ant extermination service providers, experience is an important factor to consider. Homeowners should look for professionals who have a proven track record in handling ant infestations within their area, such as Wylie, TX, and neighboring communities. An established provider with extensive local experience is more likely to understand common ant species, effective treatment methods, and regional challenges, which can contribute to more efficient and effective service.

Clear communication and well-defined expectations are essential when working with a pest control professional. Homeowners should seek providers who are transparent about their process, what treatments entail, and any preparations needed before service. Reputable local pros typically offer detailed information upfront and are willing to address questions, ensuring that clients have a clear understanding of the scope of work and anticipated outcomes.

Reputable references and positive reputation within the community can help homeowners identify trustworthy service providers. Local pest control companies often have a history of successful treatments and satisfied clients, which can be verified through references or community reputation. Additionally, professionals who maintain open lines of communication and provide consistent updates can help ensure the service process aligns with homeowner expectations and fosters confidence in the chosen provider.

Get an Ants Extermination Service Quote

Property owners in Wylie, TX use Ants Extermination Service services for practical projects around their homes and businesses. The sections below highlight everyday jobs and straightforward project options.

Ants Extermination Service
Ants Extermination Service

Ants extermination services are commonly sought after by property owners in Wylie, TX, facing persistent ant infestations in residential or commercial spaces. Ants can invade kitchens, bathrooms, and other areas, often attracted by food sources or moisture, making their presence a nuisance and potential concern for hygiene. Local service providers can help identify the type of ants involved and implement targeted treatments to eliminate colonies and prevent future invasions.

Property owners may also look for ant extermination when noticing increased ant activity during warmer months or after recent weather changes. Ants can sometimes form large colonies that are difficult to control without professional assistance. Engaging experienced exterminators can help address these situations effectively, ensuring a cleaner and more comfortable environment in homes and businesses throughout Wylie, TX.

Get an Ants Extermination Service Quote

How do ant extermination services work? Ant extermination services typically involve inspecting the property, identifying ant species and entry points, and applying targeted treatments to eliminate colonies and prevent future infestations.

Are ant extermination treatments safe for pets and children? Most professional ant treatments are designed to be safe when applied by experienced technicians, but it's recommended to follow specific safety instructions provided by the service provider.

How long does an ant extermination treatment last? The duration of effectiveness varies depending on the treatment method and the severity of the infestation, but many services offer ongoing prevention options.

Can ant extermination services prevent future infestations? Yes, professionals can identify and address the factors attracting ants and provide recommendations or treatments to help prevent future problems.

How do I prepare my home for ant extermination services? Preparation may include cleaning the area, removing food sources, and following any specific instructions provided by the service provider to ensure effective treatment.

Ants Control Solutions - Local pest control providers offer targeted treatments to eliminate ant colonies and prevent future infestations.

Inspection and Identification - Professionals can assess your property to identify ant species and determine the most effective extermination methods.

Barrier Treatments - Service providers apply barrier sprays around your home to create a protective zone against ant entry.

Ongoing Monitoring and Prevention - Experts can set up ongoing monitoring plans to ensure ants do not return and advise on preventative measures.

Ants Extermination Service

Considering Ants Extermination Service for a property in Wylie, TX? The sections above highlight common project types, practical options, and details that often shape the scope of work.

When you are ready, use the quote form to share a few details about your project. Local pros can review the basics and respond with options that match what you have in mind.

Get an Ants Extermination Service Quote

Ants Extermination Quotes

Our Trusted Partners
Cantu Pest Control
Orkin
Hawx Pest Control