Local Service Overview

Get Black Ant Extermination in Wylie, TX

Black Ant Extermination services for property owners in Wylie, TX, and nearby areas address ant infestations, prevent future outbreaks, and manage pest-related property issues through local professionals.

Wylie, TX

Black ant extermination services are often sought after by property owners in Wylie, TX to maintain a comfortable and pest-free environment. These services help prevent infestations that can disrupt daily routines, damage structures, and create health concerns. By addressing ant issues promptly, property owners can enjoy a safer and more functional living or working space, reducing the risk of future problems and minimizing ongoing maintenance needs.

Engaging professional extermination providers offers benefits such as enhanced durability of the property’s structure and improved curb appeal. Effective ant control can help preserve landscaping and prevent damage caused by persistent pests, contributing to a more attractive exterior. Additionally, a thorough treatment can lead to longer-lasting results, giving property owners peace of mind and a more inviting environment for residents, visitors, or customers.

Get Black Ant Extermination Quotes

  • Black Ant Extermination services are recommended when ant infestations threaten homes or businesses in Wylie, TX and surrounding areas.
  • These services are useful if you notice large ant colonies invading indoor or outdoor spaces in nearby communities.
  • Black Ant Extermination is often needed when traditional pest control methods have failed to eliminate persistent ant problems.
  • Residents experiencing sudden ant swarms or unusual activity around their property may require professional extermination assistance.
  • Commercial properties facing ant issues that disrupt operations or pose health concerns can benefit from specialized extermination services.

Get Black Ant Extermination Quotes

Black Ant Extermination
Black Ant Extermination
Black Ant Extermination

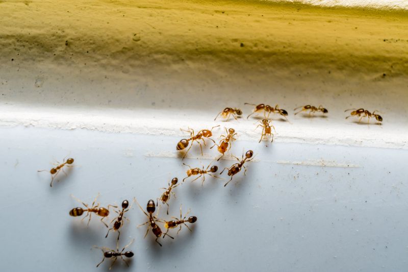
Black ant extermination services focus on identifying and eliminating black ant colonies within residential, commercial, or industrial properties. These services typically involve thorough inspections to locate ant nests and entry points, followed by targeted treatment applications. Depending on the extent of the infestation, pest control professionals may use a combination of baits, sprays, and dusts to effectively reduce or eradicate black ant populations. The goal is to address the root of the problem while minimizing disruption to the property and its occupants.

Black ants can pose several issues for property owners. They are often a nuisance, invading kitchens, pantries, and other areas where food is stored or prepared. Beyond the annoyance, black ants can also contaminate food supplies and create unsanitary conditions. In some cases, large colonies may cause structural damage by nesting in wall voids or beneath floors, leading to costly repairs if left untreated. Pest control services aim to prevent these problems by controlling the ant populations before they become overwhelming.

Properties that commonly utilize black ant extermination services include single-family homes, apartment complexes, restaurants, and retail stores. Residential properties often seek treatment to protect food supplies and maintain a clean living environment. Commercial establishments, especially those involved in food handling or preparation, prioritize pest management to meet health standards and avoid reputational damage. Additionally, property managers and landlords may engage pest control providers to manage infestations across multiple units or buildings.

Professional black ant extermination services are designed to provide a comprehensive approach tailored to the specific needs of each property. Local pest control providers have experience working with various property types and infestation levels, offering solutions that are both effective and minimally invasive. Property owners interested in addressing black ant issues can contact local service providers to discuss treatment options and schedule inspections, ensuring a proactive approach to pest management.

The overview below groups typical Black Ant Extermination projects into broad ranges so you can see how smaller, mid-sized, and larger jobs often compare in Wylie, TX.

In many markets, a large share of routine jobs stays in the lower and middle ranges, while only a smaller percentage of projects moves into the highest bands when the work is more complex or site conditions are harder than average.

Initial Inspection Costs - The cost for a professional inspection typically ranges from $100 to $300. This fee covers assessing the extent of black ant infestations and identifying entry points.

Treatment Service Prices - Black ant extermination treatments generally cost between $150 and $400 per service. Prices vary based on the size of the affected area and the severity of the infestation.

Ongoing Maintenance Fees - Follow-up treatments or maintenance plans can range from $50 to $150 per visit. These are recommended for persistent or recurring ant problems.

Per-Infestation Cost Estimates - For localized black ant nests, costs may be around $100 to $250 per infestation. Multiple nests or extensive infestations may increase the overall expense.

Actual totals will depend on details like access to the work area, the scope of the project, and the materials selected, so use these as general starting points rather than exact figures.

Get a Black Ant Extermination Quote

Black Ant Extermination services involve specialized treatments to eliminate black ants from residential and commercial properties in Wylie, TX and nearby areas. Local pest control providers offer targeted solutions to address black ant infestations effectively.

Black Ant Extermination projects often include inspection and identification of ant colonies to determine the most appropriate removal methods. Experienced service providers utilize proven techniques to reduce ant populations and prevent future invasions.

Black Ant Extermination services are essential for protecting homes and businesses from damage caused by ant colonies. Local pros focus on safe and efficient removal strategies tailored to each property’s needs.

Black Ant Extermination projects may involve the application of baits, sprays, or barriers to control and eliminate black ants. Professionals ensure treatments are applied effectively to minimize the risk of reinfestation.

Black Ant Extermination services often include follow-up treatments and monitoring to ensure long-term control. Local pest control experts provide ongoing support to maintain ant-free environments.

Black Ant Extermination specialists are equipped to handle infestations in various settings, including homes, restaurants, and warehouses. Contacting local providers can help address black ant issues promptly and efficiently.

Black Ant Extermination

When evaluating local professionals for Black Ant Extermination services, it is important to consider their experience in handling ant infestations. Experienced service providers typically have a proven track record of successfully managing ant problems similar to those encountered by homeowners in the Wylie, TX area. They often have extensive knowledge of ant behaviors and effective treatment methods, which can contribute to a more thorough and lasting solution. Homeowners may wish to inquire about the duration of their experience and the types of ant issues they have addressed to better understand their expertise.

Clear communication and written expectations are essential when working with pest control professionals. Reputable providers usually offer detailed descriptions of their services, including the methods they use and what homeowners can expect during and after treatment. Having this information in writing helps establish transparency and ensures that homeowners understand the scope of work. Open communication also allows homeowners to ask questions and clarify any concerns before the service begins, fostering a smoother and more informed process.

References and reputation play a significant role in selecting a reliable pest control provider. Homeowners are encouraged to seek out local professionals with positive references or reviews from previous clients in the Wylie area. Reputable service providers often have a history of satisfied customers and can provide contact information for references or share testimonials. Consistent positive feedback and a good reputation within the community can indicate a dependable and effective service provider, giving homeowners added confidence when choosing a local expert for ant extermination needs.

Get a Black Ant Extermination Quote

Property owners in Wylie, TX use Black Ant Extermination services for practical projects around their homes and businesses. The sections below highlight everyday jobs and straightforward project options.

Black Ant Extermination
Black Ant Extermination

Black ants can often become a nuisance for property owners in Wylie, TX, especially during warm months when they seek food and moisture sources around homes and businesses. Common situations include discovering ant trails near kitchens, bathrooms, or outdoor patios, prompting property owners to seek professional extermination services to eliminate the infestation and prevent further activity. Additionally, ongoing ant problems or recurring sightings may lead residents and business owners to contact local pest control providers for targeted treatment plans.

In many cases, property owners turn to local extermination specialists when ants invade indoor spaces or when previous DIY efforts have failed to resolve the issue. Wylie residents may also seek professional help to address ant activity around foundations, gardens, or outdoor structures, aiming to protect their property and maintain a comfortable environment. Connecting with experienced service providers ensures that effective solutions are implemented to manage ant populations and reduce the likelihood of future invasions.

Get a Black Ant Extermination Quote

How do pest control professionals eliminate black ants? Professionals typically use targeted treatments such as baiting and residual insecticides to remove black ant colonies effectively.

Are black ant extermination methods safe for pets and children? Reputable service providers use treatments that are safe when applied according to instructions, but it’s best to discuss any concerns with the local pros.

How long does black ant extermination usually take? The duration depends on the extent of the infestation and the treatment approach, which local service providers can assess during a consultation.

Can black ants return after treatment? While treatments can eliminate current colonies, ongoing prevention measures may be recommended by local professionals to reduce the risk of future invasions.

What steps can homeowners take to prevent black ant infestations? Local pest control experts often suggest maintaining cleanliness, sealing entry points, and removing food sources to help prevent black ant problems.

Black Ant Extermination Methods - Local service providers can utilize a variety of techniques to effectively eliminate black ants from residential or commercial properties.

Integrated Pest Management Strategies - Pros may implement comprehensive plans that include inspection, baiting, and exclusion to control ant infestations.

Preventive Black Ant Control - Service providers can offer advice and treatments to reduce the risk of future ant problems around the property.

Customized Treatment Plans - Local experts can develop tailored solutions based on the severity and location of black ant activity.

Black Ant Extermination

Considering Black Ant Extermination for a property in Wylie, TX? The sections above highlight common project types, practical options, and details that often shape the scope of work.

When you are ready, use the quote form to share a few details about your project. Local pros can review the basics and respond with options that match what you have in mind.

Get a Black Ant Extermination Quote

Black Ant Extermination Quotes

Our Trusted Partners
Cantu Pest Control
Orkin
Hawx Pest Control
Mosquito Shield