Local Service Overview

Get Red Ant Extermination in Collin County, TX

Red Ant Extermination services for property owners in Collin County, TX, typically address pest infestations such as ants, termites, and rodents through targeted control and prevention projects.

Collin County, TX

Red ant extermination services are a practical solution for property owners in Collin County, TX seeking to maintain a safe and comfortable living environment. These services help eliminate the nuisance and potential health risks associated with ant infestations, ensuring that homes and outdoor spaces remain functional and enjoyable. By addressing ant problems promptly, property owners can reduce the likelihood of damage to structures and landscaping, while also preventing future invasions that could disrupt daily routines.

Choosing professional extermination services offers additional benefits, including enhanced durability of pest control efforts and reduced ongoing maintenance. Properly managed ant eradication can improve curb appeal by keeping properties free of unsightly trails and nests. This creates a more inviting appearance and helps preserve the overall value of the property, making it easier to enjoy outdoor areas without concern about pests.

Get Red Ant Extermination Quotes

  • Red Ant Extermination - Residential properties experiencing red ant infestations in Collin County, TX, may require professional extermination services.
  • Red Ant Extermination - Commercial buildings in nearby areas seeking to eliminate red ant colonies can benefit from specialized pest control solutions.
  • Red Ant Extermination - Outdoor spaces with visible ant mounds or nests may need targeted treatment to prevent further infestation.
  • Red Ant Extermination - Properties with recurring ant problems despite previous treatments might require comprehensive pest management approaches.
  • Red Ant Extermination - New construction sites or renovations in the region may need pest control experts to address ant presence during early stages.

Get Red Ant Extermination Quotes

Red Ant Extermination
Red Ant Extermination
Red Ant Extermination

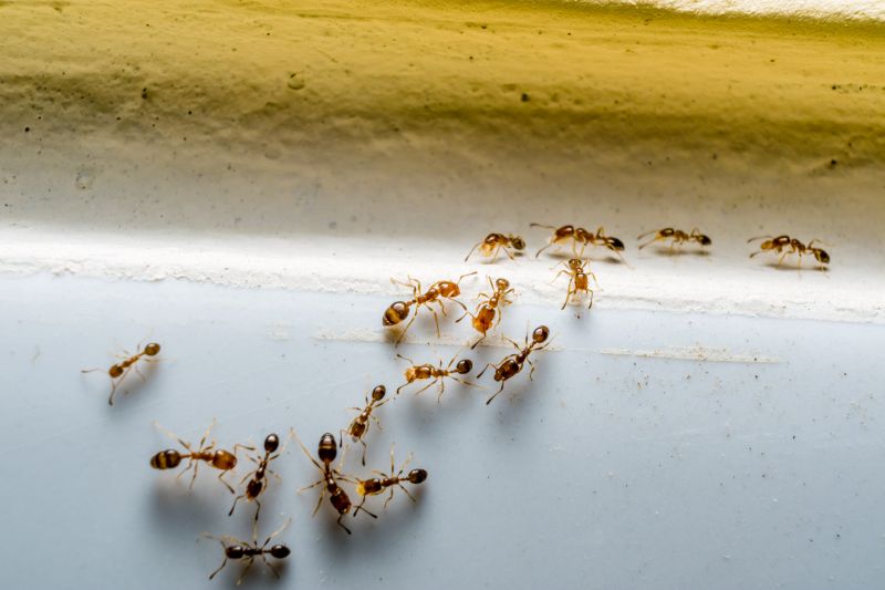
Red ant extermination services are designed to eliminate infestations caused by red ants, which can be a common nuisance for homeowners and property managers. These services typically involve thorough inspections to identify the extent of the ant problem and the specific locations where red ants are active. Treatment methods may include targeted application of insecticides, baits, or other pest control solutions to eradicate colonies and prevent future invasions. Professional exterminators focus on removing the ants efficiently while minimizing disruption to the property and its occupants.

Red ant problems can lead to various issues for property owners, including damage to plants, contamination of food supplies, and discomfort from persistent ant activity. In some cases, red ants may build nests in lawns, gardens, or around the foundation of a building, which can lead to ongoing infestations if not properly addressed. Extermination services help resolve these problems by removing the colonies and implementing measures to deter new ones from forming. This can help maintain a clean, safe, and comfortable environment for residents and visitors.

Properties that commonly utilize red ant extermination services include residential homes, apartment complexes, and commercial establishments. Residential properties often seek assistance to protect gardens, lawns, and indoor spaces from ant invasions. Commercial properties, such as restaurants, food stores, and office buildings, may also require pest control to ensure hygiene standards and prevent disruptions caused by ant activity. Additionally, property managers overseeing multi-unit dwellings or community spaces frequently engage pest control providers to maintain pest-free environments for tenants and visitors.

Professional red ant extermination services are available for a variety of property types and sizes, ranging from small residential yards to large commercial sites. Service providers tailor their treatments based on the severity of the infestation and the specific characteristics of each property. Regular inspections and maintenance plans may be recommended to prevent future red ant problems, ensuring that properties remain protected over time. Contacting local pest control experts can help identify the most effective solutions for individual property needs and eliminate red ant colonies efficiently.

The overview below groups typical Red Ant Extermination projects into broad ranges so you can see how smaller, mid-sized, and larger jobs often compare in Collin County, TX.

In many markets, a large share of routine jobs stays in the lower and middle ranges, while only a smaller percentage of projects moves into the highest bands when the work is more complex or site conditions are harder than average.

Initial Inspection - The cost for a comprehensive inspection of a property for pest activity typically ranges from $100 to $300. Prices may vary based on property size and the extent of the inspection needed.

Pest Treatment - Treatment costs for red ants usually fall between $150 and $400 per service. Larger infestations or multiple treatments can increase the overall expense.

Follow-up Services - Follow-up treatments or inspections generally cost between $75 and $200. These are recommended to ensure the pest problem is fully resolved.

Area Coverage - The cost to treat a specific area, such as a backyard or indoor space, can range from $100 to $350 depending on size and severity of the infestation. Larger or more complex areas may incur higher fees.

Actual totals will depend on details like access to the work area, the scope of the project, and the materials selected, so use these as general starting points rather than exact figures.

Get a Red Ant Extermination Quote

Ant Extermination - Local pest control providers offer specialized services to eliminate ant colonies and prevent future infestations around residential and commercial properties.

Cockroach Control - Service providers in Collin County assist with identifying and eradicating cockroach infestations to promote a healthier living environment.

Termite Treatment - Local pros provide targeted treatments to address termite issues, protecting structures from potential damage.

Bee and Wasp Removal - Experts safely remove bee and wasp nests, reducing the risk of stings and ensuring safety for inhabitants.

Spider Pest Control - Pest control services help manage spider populations and reduce their presence in indoor and outdoor spaces.

Rodent Extermination - Local providers offer solutions for rodent infestations, helping to eliminate mice and rats from properties.

Red Ant Extermination

When selecting a professional for Red Ant Extermination services, it is important to consider their experience in handling ant infestations, particularly in the specific area such as Collin County, TX. Homeowners should look for service providers with a proven track record of successfully managing similar pest issues, as this can indicate their familiarity with effective treatment methods and local conditions. Additionally, understanding the written expectations provided by the pros can help ensure clarity regarding the scope of work, methods used, and any follow-up procedures, fostering a transparent service process.

Reputable references are a valuable resource when evaluating local pros for ant extermination. Homeowners are encouraged to seek out reviews or testimonials from previous clients to gain insights into the quality of service, professionalism, and reliability of the providers. While online reviews can be helpful, directly asking for references or case studies can provide a clearer picture of the pros’ track record and their ability to meet homeowner expectations in similar situations.

Effective communication is essential when working with local pest control providers. Homeowners should prioritize professionals who clearly outline their methods, answer questions thoroughly, and set realistic expectations for the treatment process. Good communication helps ensure that homeowners understand what to expect and can address any concerns promptly. It is important to remember that the information below introduces local options and is not the contractor; it connects homeowners with qualified service providers who can deliver the necessary extermination services.

Get a Red Ant Extermination Quote

Property owners in Collin County, TX use Red Ant Extermination services for practical projects around their homes and businesses. The sections below highlight everyday jobs and straightforward project options.

Red Ant Extermination
Red Ant Extermination

Red ant infestations can quickly become a nuisance for property owners in Collin County, TX, especially during warmer months when these pests become more active. Common situations prompting pest control services include discovering large ant colonies around the yard, noticing persistent ant trails inside the home, or experiencing damage caused by foraging ants. Property owners often seek professional assistance to effectively eliminate the colonies and prevent future invasions, ensuring a safe and comfortable living environment.

In addition to immediate removal, many property owners in Collin County turn to local extermination services to address recurring ant problems or prevent infestations from developing. Factors such as increased outdoor activity, construction work nearby, or seasonal changes can contribute to ant activity. Consulting with experienced pest control providers can help identify the source of the problem and implement targeted solutions to keep ant populations under control.

Get a Red Ant Extermination Quote

What types of ants do extermination services target? Extermination services typically address common species such as fire ants, carpenter ants, odorous house ants, and pavement ants among others.

How long does an ant extermination treatment usually last? The duration of effectiveness varies depending on the treatment method and ant species, but many treatments provide ongoing protection for several weeks to months.

Are there environmentally friendly options for ant control? Some service providers offer environmentally conscious treatment options; it is best to contact local pros to discuss available solutions.

What signs indicate an ant infestation? Signs include visible ant trails, presence of ants indoors or outdoors, and ant mounds in the yard or garden areas.

How can I prevent future ant problems? Keeping areas clean, sealing entry points, and removing food and water sources can help prevent future ant infestations; local pros can provide tailored prevention advice.

Red Ant Extermination Services - Local pest control professionals offer targeted treatments to eliminate red ant colonies effectively.

Inspection and Identification - Experts can assess property conditions to identify ant infestation sources and recommend appropriate solutions.

Preventative Measures - Service providers can implement strategies to reduce the likelihood of future red ant invasions around residential and commercial properties.

Ongoing Pest Management - Professionals can develop customized plans to monitor and control red ant populations over time.

Red Ant Extermination

Considering Red Ant Extermination for a property in Collin County, TX? The sections above highlight common project types, practical options, and details that often shape the scope of work.

When you are ready, use the quote form to share a few details about your project. Local pros can review the basics and respond with options that match what you have in mind.

Get a Red Ant Extermination Quote

Red Ant Extermination Quotes

Our Trusted Partners
Cantu Pest Control
Orkin
Hawx Pest Control
Mosquito Shield