Local Service Overview

Get Ants Extermination Service in Celina, TX

Ants extermination services for property owners in Celina, TX, and nearby areas address ant infestations, prevent future invasions, and handle residential and commercial pest control projects.

Celina, TX

Ants extermination services provide property owners in Celina, TX with an effective solution to manage and eliminate ant infestations. These services help maintain a clean and comfortable living or working environment by preventing the nuisance and potential damage caused by ants. Proper extermination can also enhance the safety of a property, reducing the risk of ants entering food storage or contact areas, which is especially important for households and businesses alike.

Engaging professional ant control services offers benefits such as improved durability of structures by preventing ant-related damage and reducing ongoing maintenance needs. Additionally, a well-executed extermination can boost curb appeal by keeping outdoor and indoor spaces tidy and free of pests, contributing to a more inviting appearance. Property owners seeking reliable solutions often look for effective, long-lasting results that support overall safety, functionality, and aesthetic value.

Get Ants Extermination Service Quotes

  • Ants Extermination services are needed when ants invade homes or businesses in residential neighborhoods.
  • Ants Extermination is essential for properties experiencing persistent ant colonies in yards or around building foundations.
  • Ants Extermination is recommended when ant trails or mounds are visible inside or outside a property in nearby areas.
  • Ants Extermination services are useful for preventing future ant infestations after initial removal efforts.
  • Ants Extermination is necessary when ants are found in food storage areas or kitchens in local homes or commercial spaces.

Get Ants Extermination Service Quotes

Ants Extermination Service
Ants Extermination Service
Ants Extermination Service

Ants extermination services involve the identification and elimination of ant colonies within residential or commercial properties. These services typically include a thorough inspection to locate ant nests and entry points, followed by targeted treatments using specialized products designed to eradicate the pests effectively. Professionals may employ baiting systems, residual sprays, or dust formulations to ensure that ant activity is halted and future infestations are prevented. The goal is to provide a comprehensive approach that addresses the root cause of the problem and minimizes the risk of recurring ant issues.

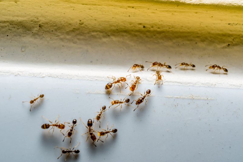
Ant infestations can cause a variety of problems for property owners. Beyond the nuisance of constant crawling and visible trails, ants can contaminate food supplies and surfaces, leading to hygiene concerns. Certain types of ants, such as carpenter ants, may also cause structural damage by excavating wood to build their nests. Additionally, large colonies can quickly multiply, making early intervention essential to prevent widespread infestations. Professional extermination services help resolve these issues by removing existing colonies and implementing preventative measures to keep properties ant-free.

Properties that commonly utilize ants extermination services include single-family homes, apartment complexes, restaurants, and commercial buildings. Residential properties often seek treatment to protect food storage areas and maintain a clean living environment. Commercial establishments, especially those involved in food service or retail, prioritize pest control to meet health standards and avoid disruptions. In multi-unit buildings, shared entry points and common areas can facilitate rapid ant spread, making professional intervention necessary to manage infestations effectively. These services are also utilized in warehouses and storage facilities where food products are kept.

Engaging with local pest control professionals for ants extermination offers tailored solutions suited to specific property types and infestation levels. These specialists assess the unique conditions of each property, recommend appropriate treatment options, and provide advice on preventing future ant problems. By addressing both current infestations and potential vulnerabilities, property owners can maintain a pest-free environment. Contacting experienced service providers ensures that ant issues are handled efficiently and effectively, helping to preserve the integrity and hygiene of various property types.

The overview below groups typical Ants Extermination Service projects into broad ranges so you can see how smaller, mid-sized, and larger jobs often compare in Celina, TX.

In many markets, a large share of routine jobs stays in the lower and middle ranges, while only a smaller percentage of projects moves into the highest bands when the work is more complex or site conditions are harder than average.

Initial Inspection - The cost for an ant inspection typically ranges from $50 to $150, depending on the property's size and location. This fee covers a thorough assessment to identify infestation sources and entry points.

Basic Treatment - A standard ant extermination service usually costs between $100 and $300. The price varies based on the severity of the infestation and the treatment method used.

Multiple Treatments - For ongoing or severe ant problems, multiple treatments can cost from $200 to $500. Service providers may recommend a series of applications to ensure complete eradication.

Preventive Services - Preventive ant control plans generally range from $150 to $400 annually. These services focus on barrier treatments and inspection to reduce future ant activity.

Actual totals will depend on details like access to the work area, the scope of the project, and the materials selected, so use these as general starting points rather than exact figures.

Get an Ants Extermination Service Quote

Ants Extermination services involve identifying ant infestations and implementing targeted treatments to eliminate colonies effectively.

Local ant extermination pros provide inspections to determine ant species and assess the extent of the infestation for appropriate treatment plans.

Professionals use a variety of methods, including baiting and residual insecticides, to control ant populations around residential and commercial properties.

Ants Extermination services also include advice on reducing attractants and preventing future invasions through property adjustments.

Contractors tailor their approaches to different environments, such as kitchens, gardens, and outdoor structures, to ensure comprehensive ant control.

Contacting local pros for ant extermination can help address infestations promptly and effectively in areas like Celina, TX, and nearby communities.

Ants Extermination Service

When comparing ant extermination services, experience is a key factor to consider. Homeowners should look for local service providers with a proven track record in handling ant infestations similar to their own. Reputable pros often have extensive experience working in communities like Celina, TX, and nearby areas, which can contribute to more effective and tailored treatment plans. It’s beneficial to review how long a provider has been operating in the area and their familiarity with common ant species and local conditions.

Clear communication and written expectations are essential when selecting an ant extermination service. Pros should provide detailed information about the procedures, products used, and any preparations required before treatment. Having these details in writing helps ensure transparency and aligns expectations. Homeowners are encouraged to seek providers who are willing to answer questions thoroughly and provide documentation that outlines the scope of work, ensuring clarity throughout the process.

Reputable references and reviews can offer valuable insights into a local provider’s reliability and quality of service. While the site introduces options for homeowners to explore, it is important to independently verify a provider’s reputation through references, reviews, or testimonials. Effective communication with potential service providers can also reveal their professionalism and responsiveness, helping homeowners make informed decisions. Connecting with local pros who prioritize clear, consistent communication can facilitate a smoother and more satisfactory extermination experience.

Get an Ants Extermination Service Quote

Property owners in Celina, TX use Ants Extermination Service services for practical projects around their homes and businesses. The sections below highlight everyday jobs and straightforward project options.

Ants Extermination Service
Ants Extermination Service

Ants extermination services are often sought by property owners in Celina, TX, facing common household challenges. When ants invade kitchens, bathrooms, or other living spaces, property owners may look for professional assistance to eliminate these pests and prevent future infestations. Local service providers can assess the extent of the ant problem and recommend effective treatment options to restore comfort and hygiene within the home or business.

Additionally, property owners may seek ants extermination services as a proactive measure to protect their properties from potential damage. Ant colonies can sometimes damage structures or become a nuisance that disrupts daily routines. Local pros offer targeted solutions to address these concerns, helping to maintain a pest-free environment and preserve the property's value and integrity.

Get an Ants Extermination Service Quote

How do ant extermination services work? Ant extermination services typically involve inspecting the affected area, identifying ant species and entry points, and applying targeted treatments to eliminate colonies and prevent future infestations.

Are the treatments safe for pets and children? Most ant extermination methods are designed to be safe when applied by professionals, but it is recommended to discuss any concerns with the service provider before treatment.

How long does an ant extermination treatment last? The duration of effectiveness can vary depending on the treatment method and extent of the infestation; a local pest control professional can provide guidance on maintenance and follow-up.

Can ant extermination services prevent future infestations? Yes, many service providers include measures to reduce the likelihood of future ant problems, such as sealing entry points and advising on sanitation practices.

How do I prepare my home for ant extermination? Preparation may involve clearing clutter, removing food sources, and informing the service provider of specific problem areas to ensure effective treatment.

Ant Removal Solutions - Local service providers offer targeted ant extermination methods to eliminate infestations effectively.

Inspection and Identification - Pros can identify ant species and nesting sites to develop customized treatment plans.

Preventive Treatments - Experts provide ongoing barrier treatments to help prevent future ant invasions.

Integrated Pest Management - Service providers utilize comprehensive approaches to control ants while minimizing chemical use.

Ants Extermination Service

Considering Ants Extermination Service for a property in Celina, TX? The sections above highlight common project types, practical options, and details that often shape the scope of work.

When you are ready, use the quote form to share a few details about your project. Local pros can review the basics and respond with options that match what you have in mind.

Get an Ants Extermination Service Quote

Ants Extermination Quotes

Our Trusted Partners
Cantu Pest Control
Orkin
Hawx Pest Control