Local Service Overview

Get Ants Extermination Service in Little Elm, TX

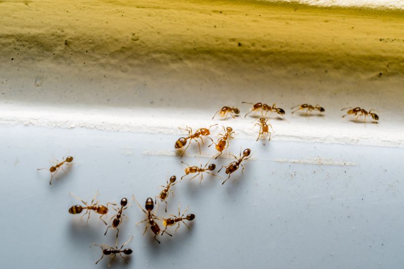
Ants extermination services for property owners in Little Elm, TX, and nearby areas address ant infestations, prevent future outbreaks, and handle residential and commercial pest control projects.

Little Elm, TX

Ants extermination services provide property owners in Little Elm, TX with an effective solution to manage and eliminate ant infestations. These services help maintain a comfortable living environment by preventing the discomfort and potential health concerns associated with ant colonies. Additionally, they contribute to preserving the functionality and durability of a property by reducing the risk of structural damage or contamination caused by persistent ant activity.

Engaging professional ant extermination can also enhance curb appeal by ensuring outdoor spaces remain tidy and inviting. Property owners often seek these services to reduce ongoing maintenance efforts, avoiding the inconvenience and expense of repeated infestations. Overall, professional ant control offers a practical approach to safeguarding the safety, appearance, and long-term usability of homes and businesses in Little Elm, TX.

Get Ants Extermination Service Quotes

  • Ants Extermination Services are essential when facing persistent ant infestations in residential or commercial properties.
  • Ant control may be needed in areas like Little Elm, TX, especially when ants invade kitchens, bathrooms, or outdoor spaces.
  • Ants removal services are often sought after when colonies have established themselves around foundations or in landscaping.
  • Ant pest control can be crucial during warmer months when ant activity increases in nearby neighborhoods and parks.
  • Professional extermination services are recommended when DIY methods fail to eliminate large or stubborn ant colonies.

Get Ants Extermination Service Quotes

Ants Extermination Service
Ants Extermination Service
Ants Extermination Service

Ants extermination services involve the identification and elimination of ant colonies within residential, commercial, or industrial properties. Professionals typically conduct thorough inspections to locate ant nests and assess the extent of the infestation. Treatment methods may include the application of targeted insecticides, baiting systems, and other pest control techniques designed to eradicate ants at their source. The goal is to remove existing colonies and prevent future invasions, helping property owners maintain a pest-free environment.

This service addresses common problems associated with ant infestations, such as property damage, contamination of food supplies, and general nuisance caused by persistent ant activity. Ants can quickly multiply and spread throughout a property, making early intervention crucial. Exterminators work to eliminate visible ants and their nests, reducing the likelihood of recurring infestations. Proper treatment also involves advising on sanitation practices and potential structural issues that may attract ants, contributing to more effective long-term control.

Ant extermination services are frequently utilized in various property types, including single-family homes, apartment complexes, restaurants, and retail stores. Residential properties often seek assistance to protect kitchens, pantries, and outdoor areas from ant incursions. Commercial properties, especially those involved in food service or storage, rely on professional pest control to meet health and safety standards. Additionally, property managers and business owners in areas prone to ant activity may engage local pest control providers to maintain a pest-free environment.

Engaging with local pest control professionals ensures that property owners receive tailored solutions suited to their specific needs and property types. These experts utilize proven techniques and products to effectively manage ant problems, whether they involve minor nuisance issues or more extensive infestations. Regular inspections and targeted treatments can help maintain a pest-free space, providing peace of mind for residents and business operators alike.

The overview below groups typical Ants Extermination Service projects into broad ranges so you can see how smaller, mid-sized, and larger jobs often compare in Little Elm, TX.

In many markets, a large share of routine jobs stays in the lower and middle ranges, while only a smaller percentage of projects moves into the highest bands when the work is more complex or site conditions are harder than average.

Initial Inspection - The cost for an ant inspection service typically ranges from $50 to $150, depending on the property size and location. This fee covers identifying ant activity and determining the extent of the infestation.

Basic Treatment - Basic ant extermination treatments generally cost between $100 and $300. Prices vary based on the treatment method and the severity of the ant problem.

Comprehensive Pest Control - For more extensive ant infestations, comprehensive services can range from $200 to $600. These include multiple visits and integrated pest management strategies.

Follow-up Services - Follow-up treatments usually cost between $75 and $200 per session. They are recommended to ensure complete eradication and prevent future ant issues.

Actual totals will depend on details like access to the work area, the scope of the project, and the materials selected, so use these as general starting points rather than exact figures.

Get an Ants Extermination Service Quote

Ants Extermination services are essential for addressing ant infestations in residential and commercial properties, helping to eliminate colonies and prevent future invasions.

Local pest control providers offer targeted ant extermination solutions tailored to specific types of ants common in Little Elm, TX and nearby areas.

Professional ant control services may include inspection, baiting, and treatment methods designed to reduce ant populations effectively.

Ants Extermination services can be integrated into broader pest management plans to ensure comprehensive protection against various pests.

Service providers often customize treatments based on the severity of the ant problem and the specific environment of the property.

Contacting local pros for ant extermination can help ensure the use of appropriate methods and effective removal of ant colonies.

Ants Extermination Service

When choosing a professional for ant extermination services, experience is an important factor to consider. Local service providers typically have extensive knowledge of the specific ant species prevalent in areas like Little Elm, TX, and nearby communities. A well-established contractor with years of local experience can better identify the source of the infestation and recommend effective treatment strategies. It's helpful to review the background of prospective pros to ensure they have a history of successfully handling ant issues similar to those encountered in your neighborhood.

Clear communication and well-defined expectations are essential when working with pest control providers. Reputable local pros should be transparent about their methods, the scope of services offered, and any preparations needed before treatment. When contacting potential service providers, it's beneficial to inquire about their approach and ensure they provide detailed information about what the service entails. This helps establish a mutual understanding and ensures that homeowners are informed about the process from start to finish.

Reputation and references can offer valuable insights into the reliability and quality of a pest control provider. Trusted local service providers often have a history of positive feedback from homeowners in the community. While reviews can be helpful, requesting references directly from the contractor can provide firsthand accounts of their professionalism and effectiveness. Consistent, clear communication and a solid reputation are indicators of a service provider that aims to meet homeowner expectations and deliver satisfactory results.

Get an Ants Extermination Service Quote

Property owners in Little Elm, TX use Ants Extermination Service services for practical projects around their homes and businesses. The sections below highlight everyday jobs and straightforward project options.

Ants Extermination Service
Ants Extermination Service

Ants Extermination Service providers in Little Elm, TX, are often sought after by property owners dealing with common pest issues in residential and commercial spaces. Ants can invade kitchens, pantries, and outdoor areas, creating nuisances and potential health concerns. Property owners may look for professional extermination solutions to eliminate existing colonies and prevent future infestations, especially during warmer months when ant activity tends to increase.

In addition to immediate removal, property owners might seek ant extermination services to address recurring problems or to protect landscaping and structural integrity. Ants can sometimes signal underlying issues such as moisture problems or entry points that need sealing. Local service providers can assess these situations and recommend appropriate treatment options to maintain a pest-free environment.

Get an Ants Extermination Service Quote

How do ant extermination services work? Ant extermination services typically involve inspecting the affected area, identifying ant species and entry points, and applying targeted treatments to eliminate colonies and prevent future infestations.

Are chemical treatments safe for my family and pets? Many extermination providers use treatments designed to be safe when applied properly; it is advisable to discuss safety concerns with the local pros during contact.

How long does an ant extermination treatment usually last? The effectiveness duration varies depending on the treatment method and level of infestation, with some services offering ongoing prevention options.

Can I prevent future ant problems after treatment? Yes, local pros often recommend ongoing maintenance, sealing entry points, and removing attractants to help prevent future ant issues.

Is ant extermination services suitable for all types of properties? Most services are adaptable for various property types, including residential, commercial, and multi-unit buildings, depending on specific needs.

Ants Extermination Solutions - Local service providers offer targeted treatments to eliminate ant infestations effectively.

Inspection and Identification - Pros can identify ant species and pinpoint nesting sites to develop precise extermination plans.

Preventive Treatments - Professionals can advise on and apply barrier methods to reduce future ant activity around properties.

Ongoing Monitoring - Service providers can establish maintenance plans to monitor and manage ant populations over time.

Ants Extermination Service

Considering Ants Extermination Service for a property in Little Elm, TX? The sections above highlight common project types, practical options, and details that often shape the scope of work.

When you are ready, use the quote form to share a few details about your project. Local pros can review the basics and respond with options that match what you have in mind.

Get an Ants Extermination Service Quote

Ants Extermination Quotes

Our Trusted Partners
Cantu Pest Control
Orkin
Hawx Pest Control