Local Service Guide

Get Ants Extermination Service in Allen, TX

Property owners in Allen, TX can rely on local contractors to eliminate ant infestations and handle pest control projects in homes and businesses.

Allen, TX

Property owners in Allen, TX, facing ant problems understand how disruptive these pests can be to daily life and property value. Whether ants are creeping into kitchens, nesting around foundations, or causing concerns about potential damage, exploring options for effective extermination is a practical step. By reviewing local service providers, property owners can find experienced professionals equipped to handle ant infestations and help restore comfort and safety to their homes or businesses.

Comparing local contractors allows property owners to assess the range of services available and choose the right solution for their specific needs. Planning a pest control project involves understanding the approaches used by nearby experts and selecting a provider with the right expertise. Keeping informed about available options can support making a confident decision and ensuring effective treatment for ant issues in the Allen area.

Get Ants Extermination Service Quotes

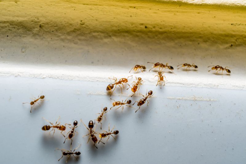
  • Ants Extermination - when ants invade kitchens, bathrooms, or other indoor spaces in neighborhoods across Allen, TX.
  • Ants Extermination - if persistent ant trails are spotted around the yard or entry points of a home in nearby communities.
  • Ants Extermination - when ant colonies have become a recurring problem in residential or commercial properties in the local area.
  • Ants Extermination - for urgent removal of large ant swarms found in garages, basements, or outdoor patios in the region.
  • Ants Extermination - when ants are affecting the comfort or hygiene of living spaces in neighborhoods throughout the area.
Ants Extermination Service
Ants Extermination Service
Ants Extermination Service

Ants extermination services involve targeted treatments designed to eliminate ant colonies and prevent future invasions. These services typically include inspecting the property to identify ant entry points and nesting sites, applying specialized insecticides, and advising on measures to reduce attractants like food crumbs or moisture sources. The goal is to effectively reduce or remove ant populations, helping homeowners regain control over their living spaces and minimize the nuisance caused by these persistent pests.

This service helps solve common problems associated with ant infestations, such as large colonies that can invade kitchens, pantries, or other areas where food is stored. Ants can also cause damage to structures by nesting in walls or foundations, and their presence can become a source of ongoing frustration for residents. Professional extermination ensures thorough treatment of affected areas and reduces the likelihood of recurring infestations, providing peace of mind for homeowners dealing with persistent ant issues.

Properties that frequently seek ant extermination services include single-family homes, apartment complexes, and small commercial buildings. Homes with accessible food sources or moisture problems are especially vulnerable to ant invasions. Additionally, properties with cracks, gaps, or poorly sealed entry points are more prone to ant entry and infestation. Service providers often tailor their approach based on the specific property type and the severity of the infestation to ensure effective results.

Homeowners should consider ant extermination services when they notice signs such as visible ants in kitchens or other living areas, ant trails along walls or floors, or unexplained nesting in walls or foundations. Early intervention can prevent larger colonies from establishing and causing more significant issues. Connecting with experienced local contractors can help identify the extent of the problem and implement targeted solutions to keep properties free of ants.

The overview below groups typical Ants Extermination Service projects into broad ranges so you can see how smaller, mid-sized, and larger jobs often compare in Allen, TX.

In many markets, a large share of routine jobs stays in the lower and middle ranges, while only a smaller percentage of projects moves into the highest bands when the work is more complex or site conditions are harder than average.

Smaller Ant Infestations - Typically, local pros charge between $250 and $600 for routine ant control jobs in residential properties. Many common infestations fall within this range, covering initial treatments and basic barriers. Larger or more persistent problems may require additional visits and higher costs.

Moderate Ant Problems - For more extensive ant issues involving multiple areas or ongoing treatments, costs generally range from $600 to $1,200. These projects often include detailed inspections and targeted baiting strategies to control the infestation effectively.

Severe or Persistent Infestations - Larger, more complex ant extermination projects can reach $1,200 to $3,000, especially if structural repairs or extensive treatment plans are needed. Fewer projects fall into this higher tier, but they are common in cases of long-term or widespread ant colonies.

Full Property Extermination or Re-Infestation - Complete eradication of ants across a large property or multiple properties can cost $3,000 or more. These projects often involve comprehensive treatment plans, including barriers, bait stations, and follow-up visits to ensure long-term control.

Actual totals will depend on details like access to the work area, the scope of the project, and the materials selected, so use these as general starting points rather than exact figures.

Get a Quote

Pest Control for Other Insects - local contractors skilled in managing various pests like cockroaches, termites, and silverfish often use similar techniques and tools as ant extermination services.

Rodent Extermination Services - removing mice and rats involves planning and applying targeted baiting and trapping methods comparable to ant control strategies.

Spider and Insect Barrier Treatments - applying barrier treatments to prevent multiple insect invasions requires expertise in chemical application and property assessment similar to ant prevention.

Termite Inspection and Treatment - inspecting properties for termite activity and applying treatments involves detailed planning and the use of specialized equipment akin to ant control procedures.

Wildlife Removal Services - removing nuisance animals like raccoons or squirrels involves similar planning, trapping, and exclusion techniques used in ant extermination efforts.

Lawn Pest Management - controlling pests that affect lawns, such as grubs and chinch bugs, often requires knowledge of pest behaviors and treatment methods comparable to ant control services.

Ants Extermination Service

When comparing ant extermination services in Allen, TX, it’s important to consider the experience of local contractors with similar projects. Homeowners should look for service providers who have a proven track record of handling ant infestations in residential settings similar to their own. Asking about past projects can help gauge whether a contractor understands the specific challenges involved and has the expertise to deliver effective solutions. This background can provide confidence that the selected professional is capable of addressing the unique needs of the home environment.

Clear, written expectations are essential to ensure that homeowners and service providers are aligned on the scope of work. When evaluating options, it’s helpful to review detailed descriptions of the services offered, including what treatments will be used, the areas that will be addressed, and any follow-up procedures. Having this information in writing helps prevent misunderstandings and provides a reference point throughout the project. Reputable local contractors typically communicate these details transparently, making it easier for homeowners to compare and choose a provider who offers clarity and professionalism.

Reputable references and strong communication are key indicators of a trustworthy service provider. Homeowners should seek out local pros who can provide references from previous clients, especially those who have had similar ant control needs. Good communication throughout the process-such as prompt responses to questions and clear explanations of treatments-can make the experience smoother and more predictable. Remember, this site serves as a resource to introduce homeowners to local options; it does not perform the work itself. The goal is to connect with experienced, communicative service providers who can effectively handle ant extermination projects in the Allen area.

Get an Ants Extermination Service Quote

Property owners in Allen, TX use Ants Extermination Service services for practical projects around their homes and businesses. This guide focuses on everyday jobs and straightforward project options.

Ants Extermination Service
Ants Extermination Service

Ants often become a nuisance for property owners in Allen, TX, especially during warmer months when these pests seek shelter and food sources. Common situations that lead residents to seek ant extermination services include finding trails of ants inside the home, noticing ant mounds in the yard, or experiencing an increase in ant activity around food storage areas. Local contractors specializing in pest control can assess the situation and recommend effective removal strategies to help restore comfort and prevent future invasions.

In addition to visible ant activity, property owners may turn to extermination services when they notice signs of an infestation impacting outdoor spaces, such as ant colonies near gardens or around the foundation. These professionals can implement targeted treatments to eliminate colonies and reduce the likelihood of ants returning. Whether dealing with a minor nuisance or a more extensive problem, local service providers are equipped to handle a variety of ant-related concerns common in residential and commercial properties throughout Allen, TX.

Get an Ants Extermination Service Quote

What are common signs of an ant infestation? Signs include visible ant trails, small piles of dirt or debris near entry points, and damaged or chewed food packaging inside the home.

How do local contractors typically eliminate ants? They may use targeted baiting, perimeter treatments, and sealing entry points to effectively reduce ant populations around a property.

Are there preventive measures to keep ants away? Yes, keeping areas clean, sealing cracks and gaps, and removing food and water sources can help prevent ant invasions.

What types of ants do extermination services address? Service providers commonly handle common household ants like odorous house ants, pavement ants, and carpenter ants.

How can I find local contractors for ant extermination? This website can connect residents with experienced service providers in Allen, TX, and nearby areas who specialize in ant control solutions.

Identify ant entry points - property owners can inspect their home for small cracks or gaps where ants may enter and have local contractors seal these openings.

Schedule regular inspections - routine visits by local service providers can help detect early signs of ant activity before infestations spread.

Implement targeted treatments - local contractors can apply treatments around the foundation, walls, and entry points to prevent ant colonies from establishing.

Maintain clean outdoor spaces - keeping yards free of debris and food sources can reduce ant attraction and support ongoing pest management efforts.

Ants Extermination Service

If you are thinking about Ants Extermination Service for a property in Allen, TX, this guide is meant to help you understand the work, the typical project types, and how different options might fit your plans.

When you are ready, you can use the quote form on this page to share a few details about your project. From there, local pros can review the basics and respond with options that match what you have in mind.

Get a Quote

Ants Extermination Quotes

Our Trusted Partners
Cantu Pest Control
Orkin
Hawx Pest Control